Soluciones Topográficas
En Tecnoconstruye combinamos Tecnología Avanzada y Experiencia Profesional para entregar resultados confiables, rápidos y accesibles, tanto para proyectos pequeños como de gran escala.
Sobre Tecnoconstruye
Somos una Empresa Especializada en Servicios de Topografía y Geomensura, con base en Puerto Montt, Región de Los Lagos. Nos enfocamos en entregar Soluciones Técnicas, Precisas y Eficientes, adaptadas a las necesidades de cada cliente.
Nuestro equipo está conformado por Técnicos Topógrafos e Ingenieros Civiles con competencias en Mecánicas de Suelos, lo que nos permite abordar cada Proyecto con una Visión Integral, desde la medición hasta la toma de decisiones en terreno.
80+
Clientes satisfechos





Nuestros Servicios
Topografía Precisa para Proyectos confiables y seguros.
Levantamientos Topográficos
Realizamos levantamientos de terreno con alta precisión utilizando estación total, GNSS y dron. Entregamos información confiable para diseño, planificación y ejecución de proyectos.
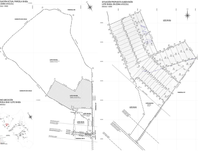
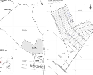
Subdivisiones de Terrenos
Gestionamos subdivisiones prediales cumpliendo normativa vigente, entregando planos y apoyo técnico para procesos legales y administrativos.
Trasladamos planos y diseños al terreno con exactitud, asegurando que cada elemento se construya en la ubicación correcta según proyecto.
Replanteos de Precisión




Estacados y Marcaciones
Materializamos puntos clave en terreno mediante estacas y referencias físicas, facilitando la ejecución correcta de proyectos.
Fotogrametría con Dron
Generamos modelos digitales del terreno, ortofotos y levantamientos de gran superficie mediante drones con ajuste satelital GNSS.
Brindamos seguimiento topográfico durante la ejecución de obras, verificando avances, niveles y correcta implementación del diseño.
Control y Apoyo a Proyectos
Contacto
Estamos listos para ayudarte en tus proyectos.
Email DE CONTACTO
TeléfonoS
contacto@tecnoconstruye.cl
© Copyright 2026. Todos los derechos Reservados - Tecnoconstruye LTDA






